Location: Corky Reef which is about 3000 feet from shore at the end of Poinsettia Street.
LAT/LONG 26.120749, -80.095124
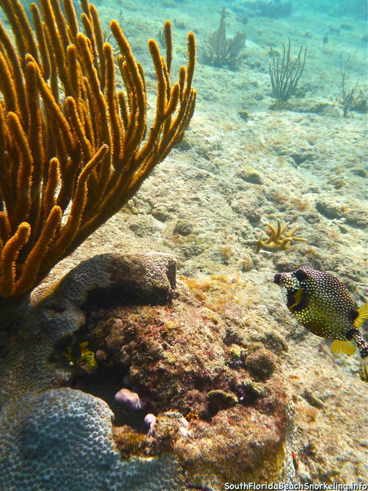
Description: This is a shallow reef with average depth of 10 feet with lots of Staghorn Coral.
Notes For this Snorkel: After stopping briefly at another reef a bit south of this one, and being invaded by Moon jellyfish, we noticed this reef on the boat’s GPS as we headed north. You can see the mooring buoys that are in much deeper water further east of this spot. We found a sandy spot to drop anchor, swam over to the reef, and spent well over an hour here. This reef turned out to be a very pleasant surprise with crystal clear water and teeming with life. It was slack high tide and overcast which made for a very enjoyable stay.














































Critters seen on this snorkel: Schools of Sergeant Major fish, Parrotfish, Triggerfish, Puffers, Angelfish, Staghorn Coral, sea fans, sponges, lobster, sea urchins in almost every nook and other numerous invertebrates.
Leave A Comment